Обяви За нас Контакти
Продава ПАРЦЕЛ
област Сливен, гр. Нова Загора
770 000 €
1 505 989.10 лв.

(31 €, 60.63 лв./m2)
Цената е с включено ДДС
История на цената
Коригирана в 10:57 на 7 май, 2024 год.
Обявата е посетена 924 пъти.
Площ:
24976 m2

Описание на имота:


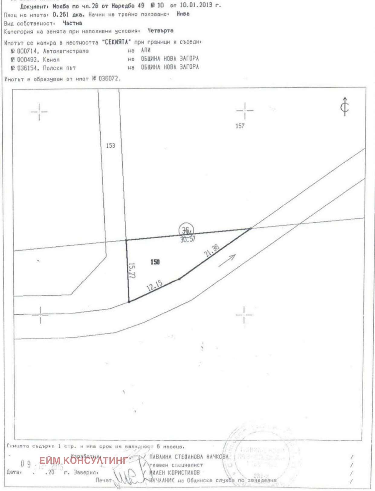
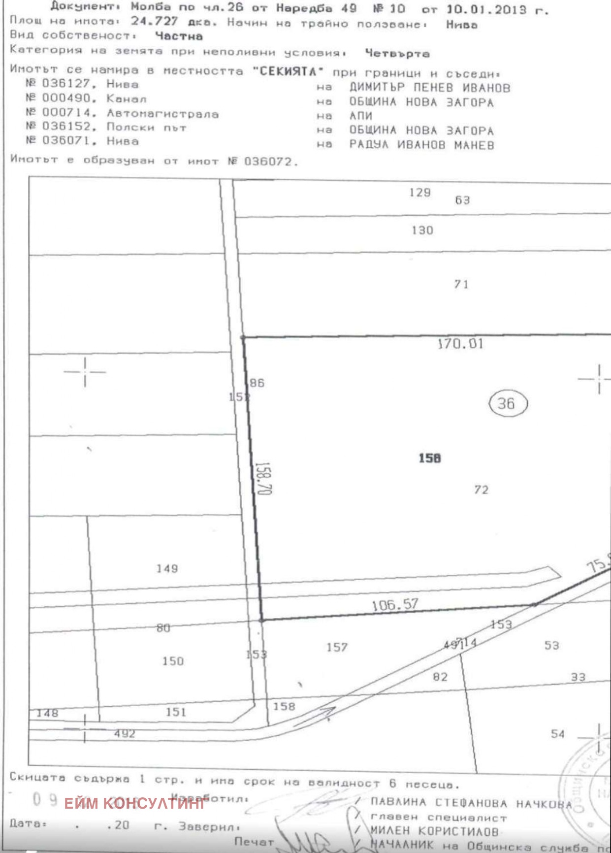
AimConsulting предлага ексклузивно поземлен имот намиращ се на 251-ви км на автомагистрала Тракия (ЛОТ 3 между Нова Загора и Ямбол). Автомагистралата пресича имота, като в посока Бургас-София се образува парцел с площ 24 727 кв.м и лице на магистралата 106.57 метра, както и допълнителен парцел с площ 249м. и лице на магистралата 29,5м, който може да бъде използван за направата на вход/изход. В близост до имота (около 200 м ) има изграден надлез над автомагистралата, който също може да се използва за преминаване към обекта и така обектът да се ползва от потока и в двете посоки по магистралата.
Статут на имота - земеделска земя четвърта категория , но тъй като през него не преминават електропроводи, газопроводи, нефтопроводи и други предназначението му може да бъде променено без проблеми. Парцелът е подходящ за изграждане на бензиностанция, електростанция, мотел, ТИР паркинг с автомивка, заведение за бързо хранене, логистичен център, складова база и др. Изрядни документи за собственост.
Агенция за имоти AimConsulting работи в партньорство с CreditZone, лицензиран от БНБ кредитен консултант www.creditzone.bg. Така, чрез нашите партньори, предлагаме професионално и напълно безплатно за клиента съдействие за кредитиране от всички основни 10 банки в България. Спестяване на време за проучване, възможност да бъдат сравнени различни оферти и да бъдат избрани най-изгодни условия за банков кредит!
Виж всички обяви в aimconsulting.bazar.bg или тук
За контакт:
0878358007
Агенция:
ЕЙМ КОНСУЛТИНГ
089 864 8521
ЕЙМ КОНСУЛТИНГ logo
Медал за прослужено време
В imot.bg от 2021 г.
aimconsulting.imot.bg
Адрес:
област София, гр. София, ул. Крум Попов 45
ИЗПРАТИ ЗАПИТВАНЕ
ИЗПРАТИ ЗАПИТВАНЕТО

Продава ПАРЦЕЛ
област Сливен, гр. Нова Загора
Обява: 1r169295091191009

770 000 €
1 505 989.10 лв.
История на цената
(31 €, 60.63 лв./m2)

Цената е с включено ДДС
ЗАПАЗИ ОБЯВАТА

Местоположение: област Сливен, гр. Нова Загора